West Ada

Two hotels, offices, stores may join golf-recreation business in this Meridian area

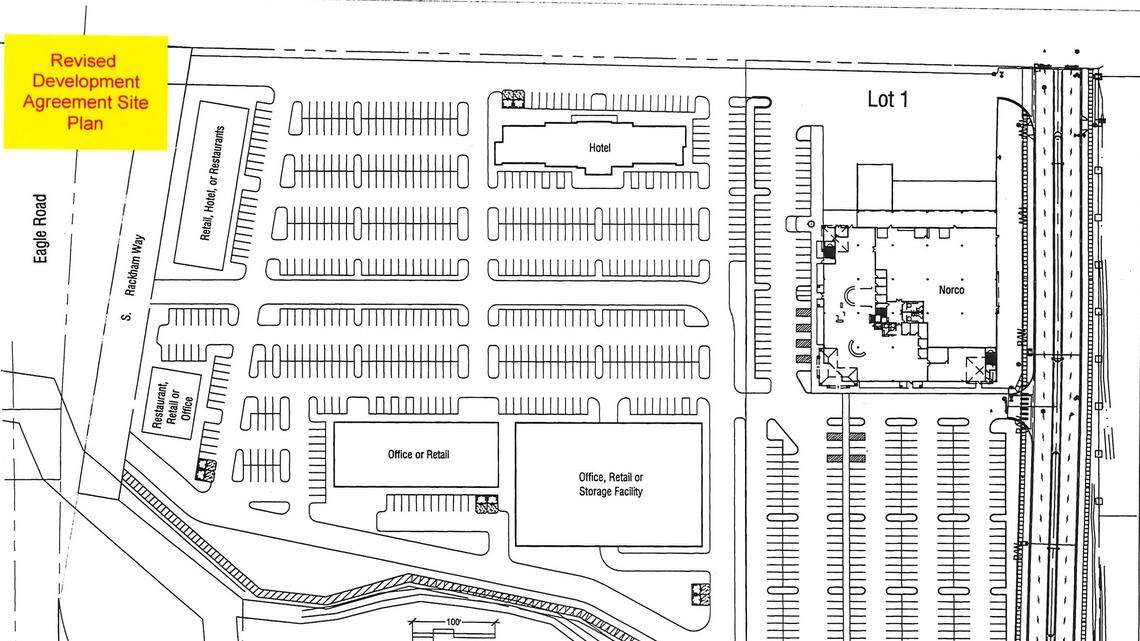
Norco CEO Jim Kissler, whose Meridian branch is at the upper right of this map, proposes to develop the rest of the site’s acreage. Eagle Road is to the west and Silverstone Way to the east. Overland Road is to the south, off this map, south of the Five Mile Drain, shown. Rackham Way, on the left side of this map, formerly provided access to the Farmstead Corn Maze to the north of this site (with Interstate 84 north of that). The corn maze is relocating to Kuna to make way for a separate development on its former site.
Norco CEO Jim Kissler, whose Meridian branch is at the upper right of this map, proposes to develop the rest of the site’s acreage. Eagle Road is to the west and Silverstone Way to the east. Overland Road is to the south, off this map, south of the Five Mile Drain, shown. Rackham Way, on the left side of this map, formerly provided access to the Farmstead Corn Maze to the north of this site (with Interstate 84 north of that). The corn maze is relocating to Kuna to make way for a separate development on its former site. Provided by city of Meridian

Norco CEO Jim Kissler is proposing to build two multistory hotels, an office building and a self-storage business at the northeast intersection of Eagle and Overland Roads.

Kissler’s development would be just south of a proposed development where a credit union call center and a golf-and-entertainment business are planned on a former corn-maze site. It would be immediately west of Norco’s 86,000-square-foot Meridian showroom, which opened last year at 1303 S. Silverstone Way.

Kissler previously planned to build a 90,000-square-foot commercial building on the acreage, in accordance with a development agreement he made with Meridian 24 years ago. His land was undeveloped until he opened the Norco store. Now he proposes an 85,000-square foot office building in addition to the hotels and the storage business.

The development, named Eagle Commons, would join dozens of building projects planned, underway or recently finished on acreage along or near Overland and south to Amity Road, and from Eagle Road west to Ten Mile Road.

Separately, in Boise, Kissler has applied to build a two-story, 4,500-square-foot retail or restaurant building at 1032 S. Broadway Ave., which formerly housed a Cobby’s sandwich shop and an L.A. Nails salon in two buildings recently demolished.

The Kissler family’s Norco Inc., based in Boise, sells medical supplies and welding, safety and industrial equipment and gases around the Northwest.

The Meridian City Council will consider Kissler’s request at its meeting at 6 p.m. Tuesday, March 5, at Meridian City Hall, 33 E. Broadway Ave.

This story was originally published February 8, 2019 at 5:36 PM.

Kate Talerico
Idaho Statesman
Kate reports on growth, development and West Ada and Canyon County for the Idaho Statesman. She previously wrote for the Louisville Courier-Journal, the Center for Investigative Reporting and the Providence Business News. She has been published in The Atlantic and BuzzFeed News. Kate graduated from Brown University with a degree in urban studies.
Get unlimited digital access
#ReadLocal

Try 1 month for $1

CLAIM OFFER