Boise & Garden City

Boise P&Z delays decision on 2,000-home Syringa Valley

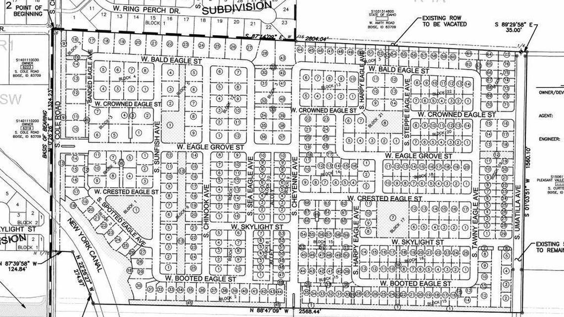
A map of Kirsten Subdivision, the first phase of Syringa Valley, a 2,000-home project CBH Homes has proposed building in Southwest Boise.
A map of Kirsten Subdivision, the first phase of Syringa Valley, a 2,000-home project CBH Homes has proposed building in Southwest Boise.

The Boise Planning and Zoning commissioners decided Monday night that they want more information before making a recommendation on whether to approve three applications for the 2,000-home Syringa Valley project in southwest Boise.

The Commission is scheduled to resume talks on the project next month.

CBH Homes is asking for approval of a preliminary plat for Kirsten Subdivision, which anticipates 453 buildable lots on 101 acres in the northwest corner of the 601-acre parcel north of Hollilynn Drive between Cole and Pleasant Valley roads. The developer also wants the city to relieve density restrictions in the city's comprehensive plan for that piece of land and give the entire 601 acres a new zoning designation that reflects plans for the broader residential-commercial project.

The City Council will make the final call on whether Syringa Valley can become a reality. It's unclear when the council will take up the matter.

CBH withdrew another requested comprehensive plan change that would have removed a ban on regional-scale commercial development, such as a shopping mall, in the area. Community-scale clusters, such as grocery store-anchored shopping centers, would be allowed without a plan change if Syringa Valley is approved.

The project likely would take two decades to build. CBH recently bought the land and project from Michael Coughlin, who started the Syringa Valley process last year.

Tucker said CBH has laid out a clear water-conservation strategy and for the development as a whole and a robust storm-water management plan.

As it has been since the project was first proposed, traffic was the most commonly cited concern for people who spoke Monday night during the Planning and Zoning Commission's meeting. From transportation experts to neighbors who drive Cole, Lake Hazel and other roads near the proposed development, there's a wide swath of people who worry hundreds of new homes will swamp the existing network, and that proposed new roads won't do enough to relieve that congestion.

A woman who testified Monday said the project shouldn't be approved until the developer offers transportation improvements consistent with the size of Syringa Valley.

Other concerns that have come up include Syringa Valley's potential impact to water availability in the immediate area and the effect of airport noise on the new homes.

This story was originally published September 19, 2016 at 11:21 AM with the headline "Boise P&Z delays decision on 2,000-home Syringa Valley."

Get unlimited digital access
#ReadLocal

Try 1 month for $1

CLAIM OFFER