Boise & Garden City

Neighbors resist Boise subdivision, worry about dense housing. Developer moves ahead

Fierce neighborhood pushback and a pending court case don’t seem to be stopping a housing development in Northwest Boise.

Amid years-long controversy, a developer is now planning the third phase of the Prominence development off Hill Road Parkway, even though the first two phases have not yet been built.

The third phase would feature six 16-unit, two-story apartment buildings, a total of 96 units, according to a pre-application conference summary. The previously approved first two phases are planned to include 78 single-family homes and 52 townhouses.

John A. Laude Sr.’s Trilogy Development has spearheaded the Prominence project. Jane Suggs of Gem State Planning was hired to represent the developer and is listed as the project’s applicant.

According to the Ada County Assessor’s Office, Fastwater LLC is the primary owner of the approximately 16 acres at 8133 N. Bogart Lane, the property on the southwest corner of North Bogart Lane and West Hill Road Parkway. Corey Barton, president of CBH Homes, is listed as Fastwater LLC’s registered agent, according to the Secretary of State’s website.

Suggs declined to comment. North West Neighborhood Association President Richard Llewellyn is gearing up to resist. He’s been fighting to preserve the rural nature of the area since 2018 and believes dense housing would ruin that.

“In the long run, it’s tragic,” Llewellyn said by phone, “because then we just become this homogeneous other area that doesn’t have any character.”

The first two phases of Prominence have been approved, and the site is being groomed for infrastructure and construction.
The first two phases of Prominence have been approved, and the site is being groomed for infrastructure and construction. Darin Oswald doswald@idahostatesman.com

City planners David Moser, Crystal Rain and Josh Wilson were at the March 7 meeting, according to the conference summary. Though no application has been filed, the meeting indicates the planning process is happening.

The meeting happened because city approval for a planned unit development is required. This was included as a requirement when the first two phases of the project were approved in 2019 after the original 307-home development was scaled down in response to neighbors’ objections.

Fire station first, building permit second

The development agreement, which was signed in April 2020, specifies additional requirements for the third phase: No more than 96 residential units would be allowed, buildings cannot exceed two stories in height, parking cannot exceed the minimum allowed, and no building permit would be issued until construction on a new Fire Station 16 begins.

Wilson said Fire Station 16 is still in the planning stages.

“I think (developers are) anticipating a fairly lengthy public hearing process,” Wilson said by phone. “So they want to go ahead and get started on that, knowing full well that this cannot happen until that Fire Station 16 is under construction.”

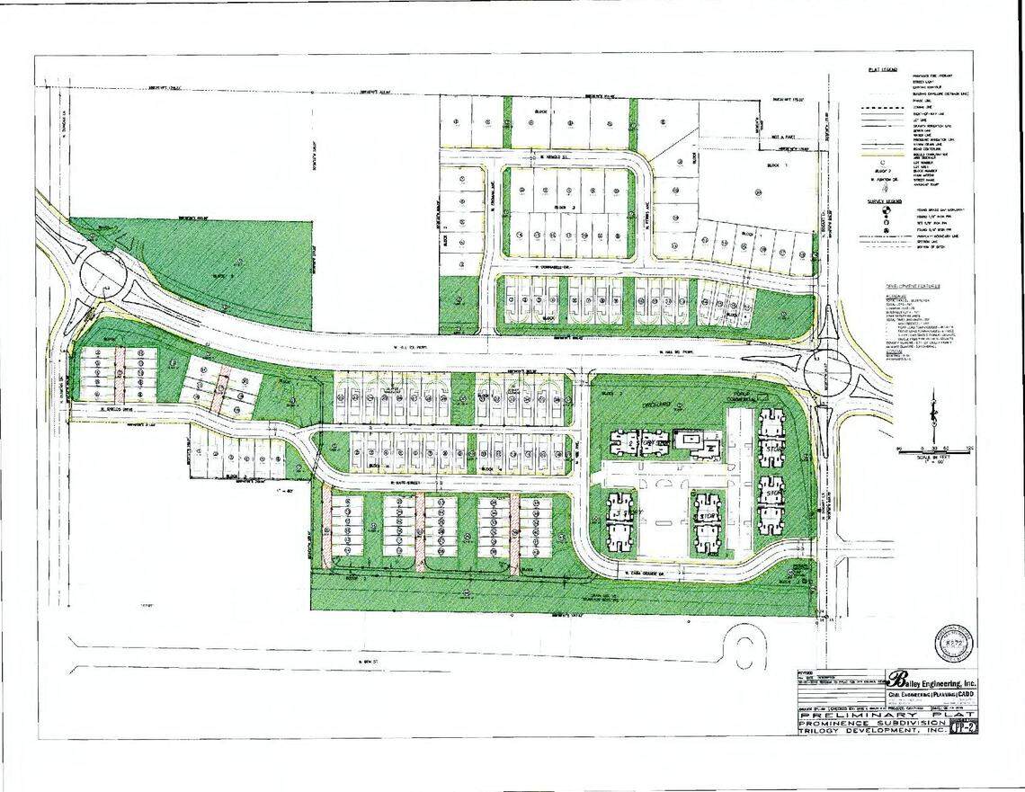
The development agreement includes a site plan for the third phase. The summary of the recent meeting says a site plan was presented. Wilson referred to the site plan from the previous development agreement.

This site plan for the Prominence development in Northwest Boise was included in the property’s development agreement.
This site plan for the Prominence development in Northwest Boise was included in the property’s development agreement. City of Boise

Wilson said the minimum requirement is to limit how much land devoted to paved parking space is included in the project, while the other requirements are meant to address neighbors’ concerns. A neighborhood meeting is required for the project to move forward.

“The added conditions on the multifamily development, I think, were very targeted,” Wilson said, “and very specific by Council to help minimize the impact of this and help it fit within the area.”

Rural character threatened, neighbors say

Previous parts of the project have already been approved by the Boise City Council. After neighbors raised complaints, plans were adjusted twice to accommodate them. The number of proposed single-family homes in the final adjustment increased from 73 to 78, while townhouses dropped from 83 to 52, and apartments went from 130 to 96.

Members of the North West Neighborhood Association went to court arguing the development would ruin the character of the semirural neighborhood. An Ada County judge ruled against them this past August.

A public notice sign is posted at a phase of the Prominence development site on the southwest corner of West Hill Parkway and Bogart Lane.
A public notice sign is posted at a phase of the Prominence development site on the southwest corner of West Hill Parkway and Bogart Lane. Darin Oswald doswald@idahostatesman.com

The group is now appealing to the Idaho Supreme Court. Llewellyn said their brief is due at the end of March, and a decision could still be several months away.

Pushback against the Prominence development has been swirling since 2018. Llewellyn said his top three concerns are lack of fire coverage, failure to plan and poor public process.

Llewellyn also said he’s observed site preparation for the single-family homes north of West Hill Road Parkway but hasn’t seen any changes for where the townhouses are planned. He thinks jumping to the third phase is moving too fast.

“Allowing and promoting growth before you have adequate infrastructure,” Llewellyn said, “and especially when you’re talking safety infrastructure like fire, it is just bad policy.”

An October fire in Eagle and Northwest Boise showed the need for increased fire service in the area, a neighbor said.
An October fire in Eagle and Northwest Boise showed the need for increased fire service in the area, a neighbor said. Darin Oswald doswald@idahostatesman.com

Llewellyn referenced the Goose Fire in October as a reason why the Northwest Boise area needs closer fire service.

Boise’s comprehensive plan was written in 2011, but Llewellyn said residents weren’t involved in that process. The comprehensive plan calls for “maintaining open space, trails and aspects of the neighborhood’s agricultural heritage as change and development occur.”

But the property where the third phase is planned for is designated for “compact” housing on Boise’s land use map, which guides future planning.

Llewellyn said his goal with the court case is to create a “level playing field” between residents and developers in the public process when a project is proposed.

Now that the 96-unit multifamily phase of the Prominence development is embarking on the planning process, Llewellyn and his neighbors will have the chance to make their voices heard once again.

Related Stories from Idaho Statesman
Paul Schwedelson
Idaho Statesman
Paul Schwedelson is the growth and development reporter at the Idaho Statesman. If you like seeing stories like this, please consider supporting us with a subscription. Support my work with a digital subscription
Get unlimited digital access
#ReadLocal

Try 1 month for $1

CLAIM OFFER