Business

NeighborWorks plans new Boise affordable housing. Recent project had homes in low $200,000s

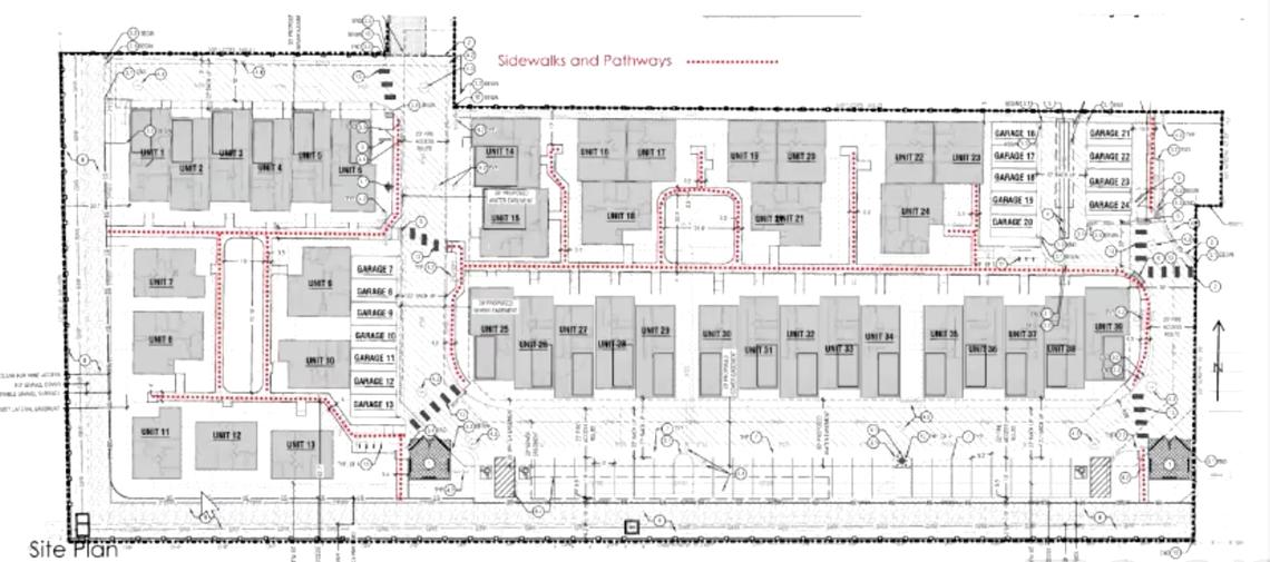
The ColeBluff Cottages, which received preliminary plat approval Tuesday from the Boise City Council, will feature 32 attached homes and seven detached residences at Cole and Fairview roads. The site was the longtime home of Cole Elementary School.
The ColeBluff Cottages, which received preliminary plat approval Tuesday from the Boise City Council, will feature 32 attached homes and seven detached residences at Cole and Fairview roads. The site was the longtime home of Cole Elementary School.

A Boise nonprofit that has created several pocket neighborhoods with affordable housing has plans for its most visible development yet.

NeighborWorks Boise is looking to build 39 single-family homes — seven detached and 32 attached residences — at the southwest corner of the old Cole Elementary School property, located at Cole and Fairview roads. Each one- to three-story home would have two to four bedrooms and 816 to 1,998 square feet.

Plans for the complex include 16 garages and 55 parking spaces — 25 covered and 30 uncovered.

“We are really excited about this project, and to the degree we can honor the site with some our our architecture and different features, remembering what was once there,” Neighborworks CEO Bud Compher told the Boise City Council on Tuesday.

The council unanimously approved a preliminary plat for the development, named ColeBluff Cottage. It will need to go through a design review before construction can begin.

The ColeBluff Cottages, which received preliminary plat approval Tuesday from the Boise City Council, will feature 32 attached homes and seven detached residences at Cole and Fairview roads. The site was the longtime home of Cole Elementary School.
The ColeBluff Cottages, which received preliminary plat approval Tuesday from the Boise City Council, will feature 32 attached homes and seven detached residences at Cole and Fairview roads. The site was the longtime home of Cole Elementary School. Provided by the City of Boise

“I appreciate you guys coming forward with this development,” Council President Elaine Clegg told Compher before the vote. “It’s been a tough site, and this seems to meet not just the conditions of the development agreement, but much of what the neighborhood asked for.”

To create a sense of community, the homes would open to two central courtyards, and there would be two pergolas, raised garden beds and walking paths.

NeighborWorks owns 283 multifamily units for low-income families. It has also developed four pocket neighborhood projects in Garden City and two in Boise. A fifth Garden City project is being built now.

The ColeBluff Cottages will be built on the southwest side of the old Cole Elementary School property at Cole and Fairview roads. It will include 39 homes.
The ColeBluff Cottages will be built on the southwest side of the old Cole Elementary School property at Cole and Fairview roads. It will include 39 homes. Provided by the City of Boise

Pocket neighborhoods look to move residents closer to where they work and play. They also attempt to design the housing so that neighbors interact with one another, with walking paths to encourage those interactions and make it so cars don’t dominate the streetscape.

NeighborWorks hopes to begin construction on ColeBluff in summer 2021. A spokesperson did not know Tuesday how long construction would take.

Prices have not been set. For the latest Garden City project at 45th and Adams streets, home prices were listed in the low $200,000s.

Anyone can buy NeighborWorks houses; there are no eligibility requirements. For previous projects, buyers have had mixed income levels, officials said. Grants for down payments were available for low-income families.

This story was originally published October 6, 2020 at 7:53 PM.

John Sowell
Idaho Statesman
Reporter John Sowell has worked for the Statesman since 2013. He covers business and growth issues. He grew up in Emmett and graduated from the University of Oregon. If you like seeing stories like this, please consider supporting our work with a digital subscription to the Idaho Statesman.
Get unlimited digital access
#ReadLocal

Try 1 month for $1

CLAIM OFFER