Business

Hundreds of new homes. Dive Bar transformation. Suffrage art. See what’s coming near you

The latest proposed developments, other construction projects and new businesses around the Treasure Valley:

Boise

Fig Village at Parkside LLC of Provo, Utah is seeking a zone change on 6.4 acres at 511 N. Maple Grove Road from M-1D (Light Industrial with Design Review) to C-1D (Neighborhood Commercial with Design Review). The change would allow the company to seek approval of a 108-unit multifamily housing development at the site, located at the southwest corner of Maple Grove and Emerald Street. Housing is not allowed under the current zoning. No hearings have been set.

Garden City

Rick and Becky Valentine, owners of InterMountain Auto Glass, plan to relocate their business to 3933 W. Chinden Blvd. following a renovation of the former Not Your Typical Dive Bar building.
Rick and Becky Valentine, owners of InterMountain Auto Glass, plan to relocate their business to 3933 W. Chinden Blvd. following a renovation of the former Not Your Typical Dive Bar building. John Sowell jsowell@idahostatesman.com

Rick and Becky Valentine bought the former Not So Typical Dive Bar building at 3933 W. Chinden Blvd. and plan to relocate their InterMountain Auto Glass store from 4860 W. Chinden. The Valentines said they will keep the building’s existing shell and finish the inside with 3,000 square feet of shop space and 1,500 square feet for an office. They will add two overhead bay doors and five windows along the Chinden side of the building. They hope to have the new location open by the end of June and have sold the old shop and are leasing it from the new owners.

Nampa

Nugget CBD, a retailer of the plant extract cannabidiol, seeks a conditional use permit to sell vaping supplies at its store at 5840 E. Franklin Road. The business is owned by Craig Bedford of Bedford Enterprises LLC in Caldwell.

Ed Priddy, a Boise entrepreneur, has applied to build a single-family home subdivision of 39 houses on 12 acres he owns at 2718 E. Locust Lane, rather than the mini self-storage facility he had previously planned there.

Forge Building Co. of Boise hopes to convert 33 acres of farmland into Nampa for a business and industrial park at the northeast corner of Cherry Lane and Midland Boulevard, north of the Costco near West Karcher Road.

Meridian

Bach Homes

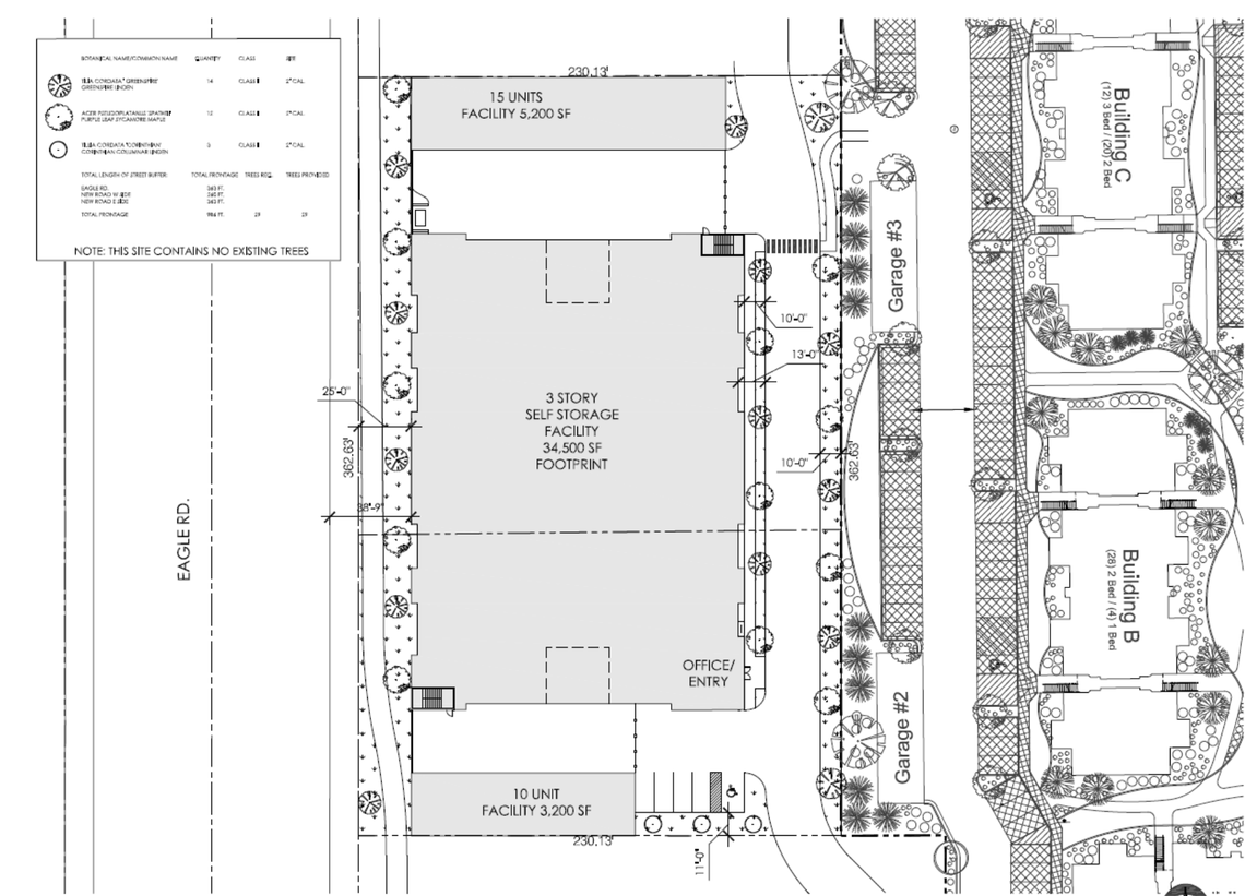
Bach Homes, a home builder based out of Draper, Utah, applied to annex an acre of land into the city with a conditional use permit to build and operate a self-service storage business at 2480 N. Eagle Road, between Ustick and Fairview Avenues.

Houston & Bugatsch Architects

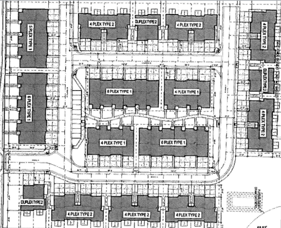
Northern Land Development — a company owned by James Merkle of Eagle — wants to annex 7 acres of land into the city to build 65 two to three bedroom townhouses at 462 N. Black Cat Road, between West Cherry Lane and West Franklin Road. The houses would average 2,263 square feet. The subdivision will be called Hensley Station.

Houston & Bugatsch Architects

Willamette Valley Bank is renovating a 99,190 square-foot office space at 3597 E. Monarch Sky Lane in The Village at Meridian.

Micron just finished a $1.1 million renovation on a 49,700 square-foot manufacturing and warehouse building at 3475 E Commercial Court. The new renovation allows it to be used for data processing and supports Micron’s research and development efforts.

Verified First is expanding into another floor of its current office at 1550 S. Tech Lane. The renovation on 21,170 square feet of space is slated to cost $800,000.

Eagle

The Eagle Urban Renewal Agency and the city of Eagle could split the costs to extend Palmetto Avenue from East State St. south toward Idaho 44. The project would otherwise need to be funded according to a cost-share agreement between the Ada County Highway District and the Idaho Transportation Department.

Cole Architects

Corey Elitharp of RSI Construction in Eagle is building an 8,600-square-foot office, retail and restaurant building on a 1-acre site on the northeast corner of West Copper Silo Street and South Urban Gate Avenue. He’s also building two live-work townhouses with 12 units total on an adjacent lot. Both projects are part of the Stillwater subdivision.

Notable

The Boise City Council on Dec. 10 approved $15,000 to go toward creation of an art piece outside City Hall to commemorate the 100th anniversary of the 1920 ratification of the 19th Amendment, which gave women in the United States the right to vote. Another $15,000 will come from the city’s Percent for Art program. Since 2001, 1.4% of all capital project funds are set aside for art projects at public facilities. The suffrage piece, which will be chosen following a process to identify an artist for the project, will be place on the south facade of City Hall, facing Main Street.

The Safari Inn, which closed in November, is selling all the contents of its 103 rooms and donating the proceeds to charity. The sale takes place from 10 a.m. to 4 p.m. daily through Saturday, Dec. 20. Proceeds will be split between Interfaith Sanctuary, Boise Rescue Mission, the Boys & Girls Club and City Lights.

This story was originally published December 19, 2019 at 11:06 AM.

Related Stories from Idaho Statesman
John Sowell
Idaho Statesman
Reporter John Sowell has worked for the Statesman since 2013. He covers business and growth issues. He grew up in Emmett and graduated from the University of Oregon. If you like seeing stories like this, please consider supporting our work with a digital subscription to the Idaho Statesman.
Kate Talerico
Idaho Statesman
Kate reports on growth, development and West Ada and Canyon County for the Idaho Statesman. She previously wrote for the Louisville Courier-Journal, the Center for Investigative Reporting and the Providence Business News. She has been published in The Atlantic and BuzzFeed News. Kate graduated from Brown University with a degree in urban studies.
Get unlimited digital access
#ReadLocal

Try 1 month for $1

CLAIM OFFER