Business

These schools, apartments, subdivisions are coming to Boise, Meridian, Nampa, Caldwell

Shelburne Properties LLC applied to annex and re-zone 35 acres of land on Bott Lane in Meridian. Above, a concept for one of the homes to be constructed.
Shelburne Properties LLC applied to annex and re-zone 35 acres of land on Bott Lane in Meridian. Above, a concept for one of the homes to be constructed. Shelburne Properties LLC

Boise

Rendering of the new Highlands Elementary School
Rendering of the new Highlands Elementary School Provided by the Boise School District

The Boise School District is seeking a conditional use permit to build a new elementary school at 3434 N. Bogus Basin Road. Earlier this year, the district decided to replace the existing Highlands Elementary School rather than remodel it. The district said the 57-year-old school is outdated and rates poorly for meeting educational needs. The new school will have 42,572 square feet of space, compared with 27,113 square feet at the existing building.

Dennis Dillon RV and Marine has received a permit to build a new $8 million showroom and service building, BuildZoom reports. It will be located at 6772 W. Targee St., where a parking lot for the existing showroom is located. The new one-story building will have 95,334 square feet of space, compared with 15,319 square feet for the existing showroom. Information from Buildzoom.com.

Wood River Builders of Boise is seeking to develop 16 single-family residential lots in the Breneman Square Subdivision at 2454 N. Ashgrove Lane.

Meridian

Buyrite LLC is applying to build apartments on Ustick and Linder Roads. The four-unit development would be home to 96 multi-family residential units.
Buyrite LLC is applying to build apartments on Ustick and Linder Roads. The four-unit development would be home to 96 multi-family residential units. neUdesign Architecture LLC

Buyrite LLC Apartments, registered to Russell Hunemiller, applied to rezone a formerly commercially zoned unit to residential, and applied for a conditional use permit to allow for 96 multi-family residential units across four buildings. The apartments would go up on the northwest corner of West Ustick Road and North Linder Road. Hunemiller is a real estate developer registered to Pride LLC, Lets Golf LLC, HFive LLC and Bling LLC.

Shelburne Properties, LLC — a company traced back to the same address as Arizona-based Hemstreet Development Corp. — asked Meridian Planning and Zoning to build 101 lots (as well as 21 common lots) on about 35 acres of land on the 4000 block of Bott Lane in Southeast Meridian.

Jarron Langston of the Eagle-based McGraw Group applied to create the Jocelyn Park subdivision: 23 single-family residential lots along 13 acres of land on West Victory Road and South Meridian Road.

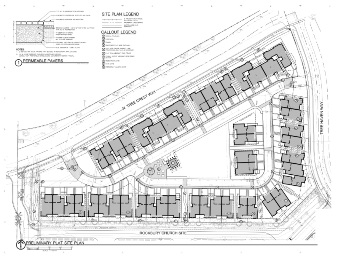
The layout for the site of the Rockbury Townhomes.
The layout for the site of the Rockbury Townhomes.
Michael Nigh, a developer based out of Torrance, CA, is applying to build townhomes on 6 acres of land on North Tree Haven Way.
Michael Nigh, a developer based out of Torrance, CA, is applying to build townhomes on 6 acres of land on North Tree Haven Way. Glancey Rockwell & Associates Provided by Glancey Rockwell & Associates

Michael Nigh of Torrance, California, applied to develop Rockbury Townhomes: 47 residential lots on six acres on the intersection of West Chinden Boulevard and North Tree Farm Way.

745 Ustick LLC, registered to Devan Robnett of Nampa, is seeking to annex and rezone a parcel on Ustick Road and Linder Roads that would be developed as medical lots along Ustick, with multifamily homes and 55 or more single family homes behind that.

The West Ada School District will go before Meridian’s Planning and Zoning Commission on Dec. 6 to review its application for a new 65,000 square foot Pleasant View Elementary. The school would go up at Gondola Drive and North Black Cat Road between Chinden Boulevard and McMillan Road.

Schultz Development will ask the city to approve annexation and rezoning of 36 acres of land located at 2445 E. Amity Road, between Locust Grove and Eagle Roads. It plans to build 130 lots.

Nampa

Metal specialist Total Manufacturing Co. and wholesale electric supply distributor Platt Electric are slated to occupy a new warehouse and offices at 501 6th St. N in Nampa. Platt Electric already has a location nextdoor at 401 6th St. N. The concrete building will also include offices for Malco LLC, which is registered to Thomas Malson of Nampa.

Hubble Homes Inc applied to build 14 new single-family homes across their Eagle Stream, Franklin Village and Southern Ridge subdivisions.

Caldwell

Caldwell has issued a permit to authorize construction of a charter school, Elevate Academy, at 114 W. Chicago Ave., a parcel owned by Building Hope (Patrick Connor), BuildZoom reports. The two-story, 40,000-square-foot school would specialize in technical education.

This story was originally published November 16, 2018 at 2:42 PM.

Get unlimited digital access
#ReadLocal

Try 1 month for $1

CLAIM OFFER